Die Rolle von Umweltfaktoren für mentale Krankheiten

Digitales Oberflächenmodell von Erfurt (12 m räumliche Auflösung) erstellt mit T
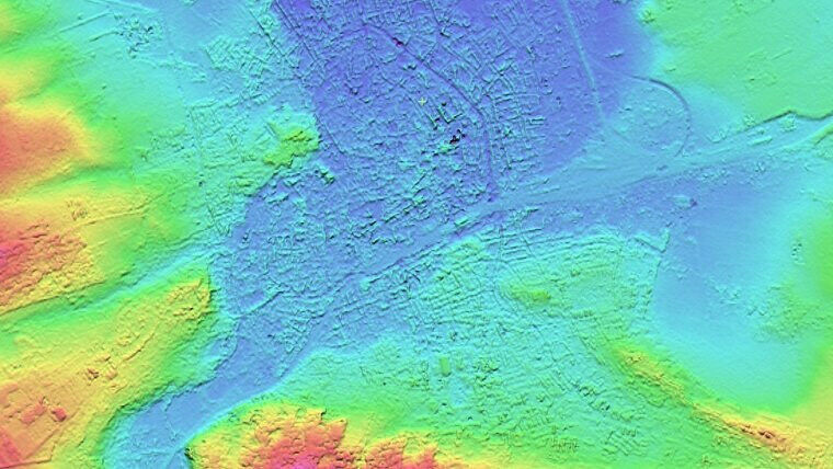
Digitales Oberflächenmodell von Erfurt (12 m räumliche Auflösung) erstellt mit TanDEM-X-Daten. Abbildung: © DLR 2022, TanDEM-X
Digitales Oberflächenmodell von Erfurt (12 m räumliche Auflösung) erstellt mit TanDEM-X-Daten. Abbildung: © DLR 2022, TanDEM-X - Das europäische Forschungskonsortium environMENTAL will Mechanismen aufdecken, durch die Phänomene wie Klimawandel, Verstädterung und die COVID19-Pandemie psychische Krankheiten auslösen können. Zum Konsortium gehört auch ein Team aus der Fernerkundung der Universität Jena um PD Dr. Sören Hese. Das Forschungsprojekt startet heute (7.9.22) offiziell mit einem Treffen der Beteiligten im italienischen Volterra und hat eine Laufzeit bis Mai 2027. Es wird von der Europäischen Union mit neun Millionen Euro gefördert. Das von der EU geförderte Projekt environMENTAL Externer Link unter der Leitung von Gunter Schumann von der Charité und der Fudan-Universität Shanghai wird die Auswirkungen von Klimaveränderungen, Umweltverschmutzung, Urbanität, regionalen sozioökonomischen Bedingungen sowie von durch die Covid19-Pandemie hervorgerufenem psychosozialen Stress auf die Gesundheit des Gehirns untersuchen und die zugrundeliegenden biologischen Mechanismen charakterisieren. Die Forschenden wollen Daten von mehr als einer Million gesunder und erkrankter Menschen aus Europa analysieren, um Gehirnmechanismen aufzudecken, die mit Umweltbelastungen zusammenhängen und zu Symptomen von Depression, Angst, Stress und Drogenmissbrauch führen.
account creation

TO READ THIS ARTICLE, CREATE YOUR ACCOUNT

And extend your reading, free of charge and with no commitment.



Your Benefits

  • Access to all content
  • Receive newsmails for news and jobs
  • Post ads

myScience